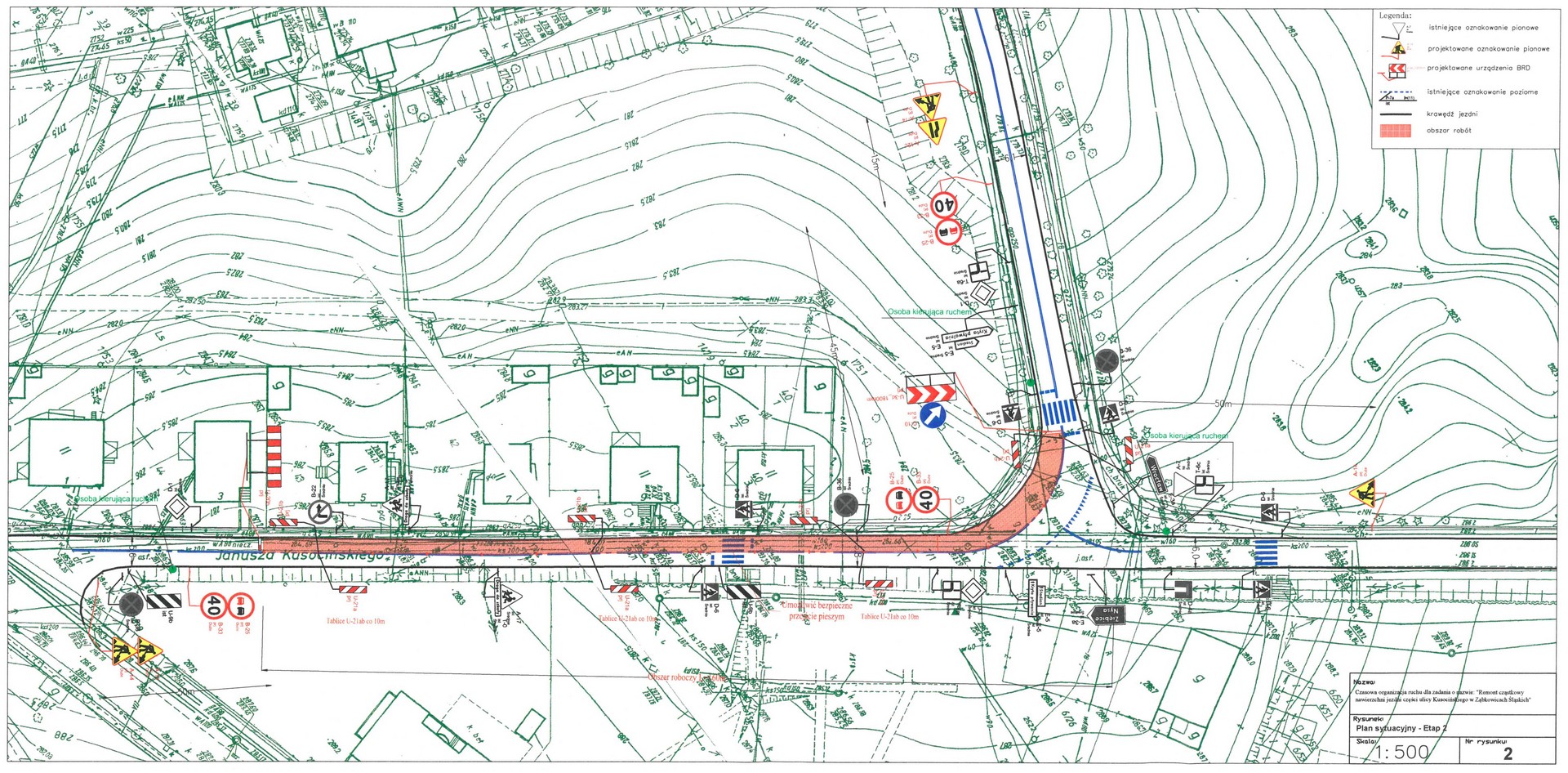
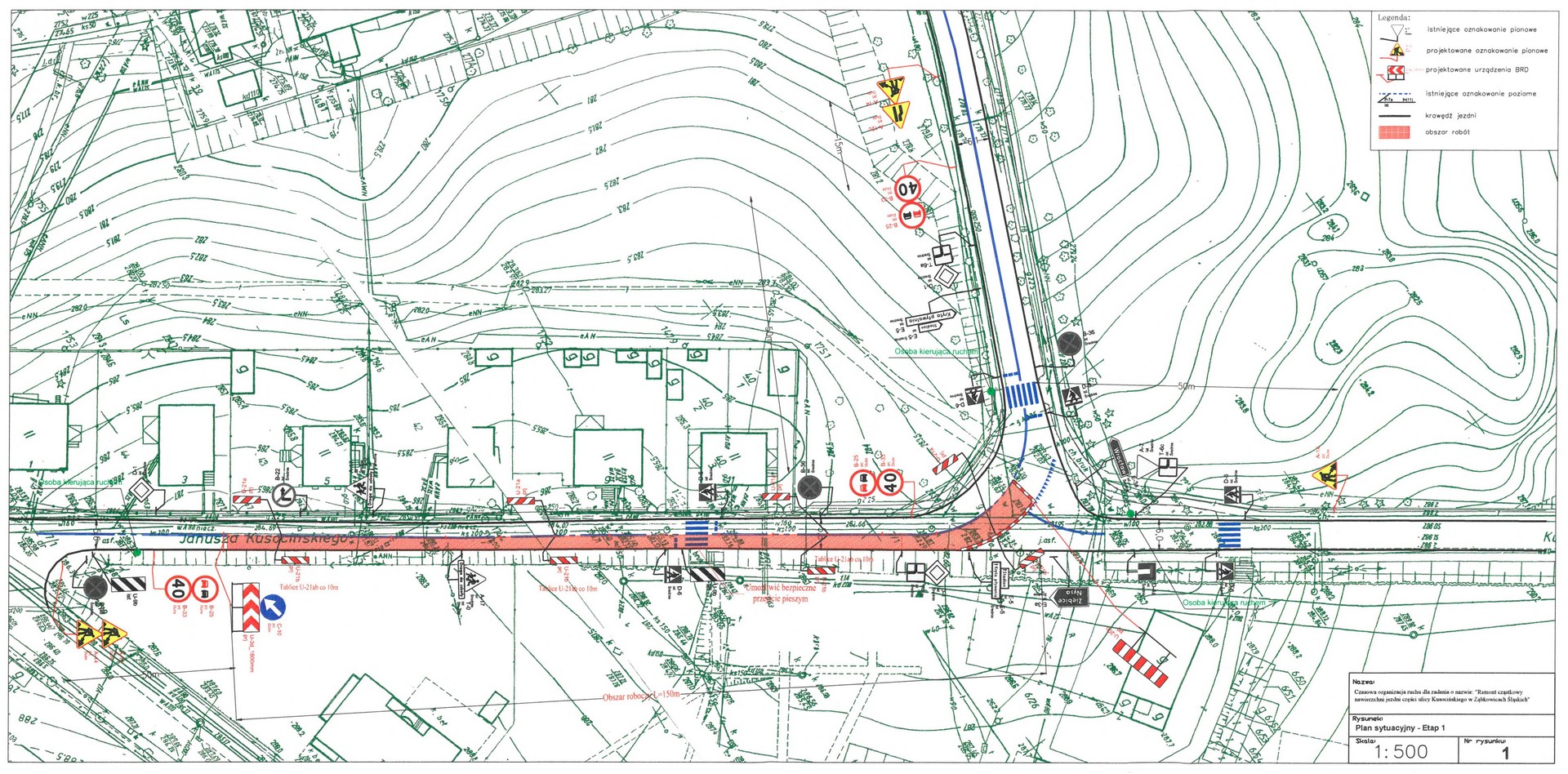
Odcinki ulic Kusocińskiego i Żeromskiego zostaną wyremontowane (w ramach prac gwarancyjnych) – remont rusza 20 maja 2021!
Zobacz także
AKCJA ZIMA 2026 - numery alarmowe telefonów!
05.02.2026
Aktualności
Zasady zwrotu podatku akcyzowego za paliwo rolnicze w 2026 roku – jak i kiedy złożyć wniosek?
04.02.2026
Aktualności
Zakupy w ramach Programu Ochrony Ludności i Obrony Cywilnej na kwotę ponad 952 tys. zł
04.02.2026
Aktualności

